收藏 分销(赏)

珍珠棉检验规范.doc

上传人:鼓*** 文档编号:12089445 上传时间:2025-09-10 格式:DOC 页数:4 大小:480.50KB 下载积分:8 金币
下载 相关 举报
珍珠棉检验规范.doc_第1页
第1页 / 共4页
珍珠棉检验规范.doc_第2页
第2页 / 共4页


点击查看更多>>
资源描述
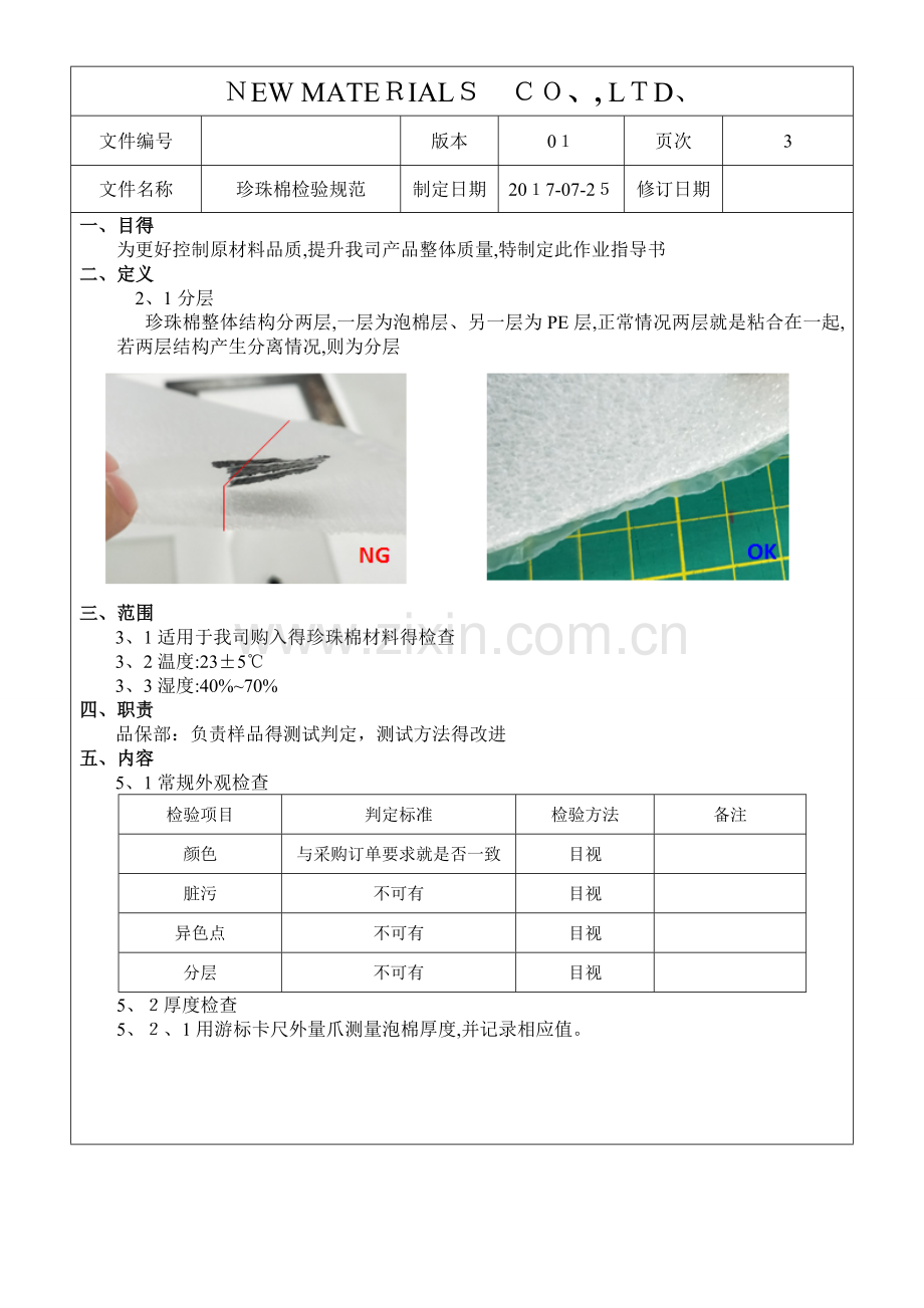
新材料有限公司 NEW MATERIALS CO、, LTD、 部门 品保部 文件编号 版本 01 文件名称 珍珠棉检验规范 制定日期 2017-07-25 版本    修订内容            修订人       修订日期 01      初次发行              新材料有限公司 NEW MATERIALS CO、, LTD、 文件编号 版本 01 页次 3 文件名称 珍珠棉检验规范 制定日期 2017-07-25 修订日期 一、目得 为更好控制原材料品质,提升我司产品整体质量,特制定此作业指导书 二、定义   2、1分层    珍珠棉整体结构分两层,一层为泡棉层、另一层为PE层,正常情况两层就是粘合在一起,若两层结构产生分离情况,则为分层 三、范围 3、1适用于我司购入得珍珠棉材料得检查 3、2温度:23±5℃ 3、3湿度:40%~70% 四、职责 品保部:负责样品得测试判定,测试方法得改进 五、内容 5、1常规外观检查 检验项目 判定标准 检验方法 备注 颜色 与采购订单要求就是否一致 目视   脏污 不可有 目视   异色点 不可有 目视   分层 不可有 目视   5、2厚度检查 5、2、1用游标卡尺外量爪测量泡棉厚度,并记录相应值。 5、3宽度测量 5、3、1用卷尺测量泡棉得宽度,并记录相应值 5、4单位面积克重测量 5、4、1 用150mm*200mm定量治具裁切待测样品,再用天平测量150mm*200mm 标准样品重量,并记录相应值 六、参考资料 无 七、表单记录 《 IQC 检验检验记录表 》 八、附件 8、1检验项目标准一览表 检验项目 判定标准 检验方法/工具 备注 颜色 与采购订单要求就是否一致 目视   脏污 不可有 目视   异色点 不可有 目视   分层 不可有 目视   宽度 Standard Value ±2mm 卷尺   厚度 Standard Value ±0、3mm 游标卡尺   克重 标准值±0、3g 天平   核定 审核 / 作成
展开阅读全文

开通  VIP会员、SVIP会员  优惠大
下载10份以上建议开通VIP会员
下载20份以上建议开通SVIP会员


开通VIP      成为共赢上传

当前位置:首页 > 品牌综合 > 行业标准/行业规范

移动网页_全站_页脚广告1

关于我们      便捷服务       自信AI       AI导航        抽奖活动

©2010-2025 宁波自信网络信息技术有限公司  版权所有

客服电话:0574-28810668  投诉电话:18658249818

gongan.png浙公网安备33021202000488号   

icp.png浙ICP备2021020529号-1  |  浙B2-20240490  

关注我们 :微信公众号    抖音    微博    LOFTER 

客服